Killer Typhoons, Low-Information Congressmen, And Giant Snakes, All In This Week's Sci-Blog
Hola, Wonketeers! It's time once again for another frighteningly disturbing Wonkette Sci-Blog. Help yourselves to a bowl of ayahuasca and come on in!
Whew! I've finally gotten all cleaned up and straightened out from another year's Halloween. It's truly a wonderful holiday - all the neighborhood children don clever costumes and run right up to the laboratory door to have their brains removed. So much fun, but so much work!
It begins innocently enough with one of your "friends," a group of kids way in the back of the library, perhaps an older trusted teacher. Someone will come up to you and say "Hey, Kid! wanna read the newspaper?" You act cool. You want to fit in. OK, just one article. you think. What's the worst that can happen? You read and suddenly a rush of knowledge hits you. It feels wonderful. I know what's going on! you think.
Soon, you're sneaking peeks at the paper when your parents are away and watching the evening news in your room with the sound down. Your mom almost catches you in the bathroom with a copy of The Atlantic Monthlybut the porno mag cover you've stapled on fools her. You start arguing with your teachers about foreign affairs and farm policy. You stop hanging out with your old friends and all your new friends just happen to be "readers."
You're older now and have subscriptions to all the local papers, plus the New York Times and the Washington Post . It's only for the box scores, you tell yourself. All your radio presets are public news channels. Your web browser's homepage is set to Google News and cluttered with rss news feeds. You switch on The Weather Channel just for the news breaks and ignore everything else. Yeah, I like news but I can stop anytime. You tell yourself this at least once a week. The news is a relentlessly awful, stupid horrorshow but you must know what's happening. You can't admit you're still looking for that wonderful feeling you had when you read that first article. You're turning into a cranky know-it-all and your friends won't return your calls.
Then one spectacularly beautiful day you're in the car on the way to work, listening to CSPAN's Washington Journal on broadcast radio instead of nice music. "Today we will be talking to performance artist Ann Coulter about her new book -- bulk purchased up to the top of the New York Times Non Fiction book list -- Obamapocalypse: Why America needs to destroy Liberals and their Kenyan Muslim Communist Fascist Leader (before they destroy America). You can feel your blood pressure rise, the day grows grey and ugly and the people in the other cars suddenly look like twisted Kobolds. You listen to the whole thing. You catch a peek at yourself in the rear view mirror and you look terrible. You've hit bottom and you can't deny it any more. You're a News Addict.
Just say No, kids.
OK, so I'm on my way to work the other week, listening to a Washington Journal interview with Representative Joe Barton (R-Tx) of the House Energy and Commence Committee (because, you know, News Addict). A viewer -- Beverly from Chicago -- called in, taking him to task for the 24 billion dollars the country lost in the Republican's wholly unnecessary government shutdown (it's at 10.49, unless you're a News Addict and have to see the whole thing) Barton's answer to her perfectly illustrates, to me, everything that's wrong with the current Republican governing theology:
"This 24 Billion dollars she's talking about, that's Federal money that wasn't spent because the government was shut down. There's good news and bad news: the bad news from Beverly's standpoint is that money didn't go out into the economy. The good news from my standpoint was that some of that money would have been wasted, so it wasn't wasted..."
Do you all see what's wrong here? I see three major categories of Wrong:
Most fundamentally, Barton's "logic" is completely fictional. The $24 billion number the caller mentioned is a mid-October estimate of the total economic impact on the national economy, not the amount of money the government "saved" by shutting down. The most recent Office of Management and Budget estimate is that the shutdown resulted in a direct cost to the federal government of $2 billion just in lost productivity -- fulltime workers were sent home, but they got back pay, and then had to catch up on two weeks of work. The ripple effect to the larger economy was even greater -- a loss of about 120,000 private-sector jobs, plus delays in approvals for everything from drilling permits to patent applications to the start of the Alaskan crab fishing season. We did not "save" a single penny on the shutdown. But who knows -- maybe if Barton totaled a brand new car in an accident, he'd brag about how much he'd saved a ton on parking.
Even if Barton were right about the shutdown "saving money" (and he isn't), dividing up the budget of the United States into the bipolar a.) Things We Like And Agree With and b.) Things We Hate and Don't Agree Withis the very attitude that leads misinformed and ideologically hidebound lawmakers to publicly rail against "Volcano Monitoring" but continue to be blissfully ignorant of thespectacular waste, fraud and abuse their own pet programs cost. Hey, remember the $79 Billion program that gave us the F-22 Stealth fighter that costs $420 million each, flies with all the grace of a piano, kills the occasional USAF pilot, has never seen combat and has no mission? How many hearings has Darryl Issa had about this one? None? Are we too busy with BENGHAZI!!1! or is an important part of Lockheed-Martin located in his district , or both?
Viewing the world through a green tinted accountant's eyeshade and demanding an immediate short term cost-benefit analysis to industry on every single program completely ignores the long term costs to society of refusing to invest in the future. The Republicans' obstinate refusal to fund infrastructure programs , demands to slash Federal research funds and continuing attempts to use the budget process to cripple the Environmental Protection Agency , the Department of Energy and the Department of Education would do as much or more damage to the country than any future deficit spending would.
We've already discussed the serious long term consequences to the Sciences of the Republican's sequester and government shutdown. The effects, far from over, are still echoing through the fields like aftershocks from an earthquake. Here are but a few: Several Antarctic research projects missed the mobilization windows for this field season and were shut down. Russia, Ukraine and China effectively killed the third ratification effort for establishment of the Antarctic Marine Reserve Marine Protected Area. The U.S. delegation to the conference of the Commission for the Conservation of Antarctic Marine Living Resources (CCAMLR) couldn't attend a good part of the meeting, as the government was shut down. Would they have helped? We'll never know and now Russia, China and everyone else can pillage the last intact ocean ecosystem remaining on earth at will, for now.
Climate data was not collected, food safety was not monitored, statistics for the beginning of the U.S.'s annual influenza season were lost. The DOD's research on advanced low-carbon energy sources stalled. We don't yet know how much or how how badly research funded by the National Science Foundation or the National Institutes of Health was impacted. This is really no way to run a country.
To be honest, I can't really tell if Joe Barton buys into this whole von Mises Chicago School Forced Austerity economic theory or he's just telling his teabagging constituency what they want to hear. The genuine charlatans, like Gingrich and the bull-goose loonies like Bachmann are easy to spot for anyone not in the bubble. I think that at least 2/3 of the Republicans I see ranting about America's Staggering Deficit on the TV are just reading off of a script for the Rubes.
It's an ugly fact, but Republicans don't really hate deficits. Republicans love deficits like they love Guns and Bibles; as handy tools to beat the world into the shape they think it ought to be.
If you only read one example of the terrible effects of ideology-driven short term pennypinching on long term scientific research, you should read this one. Submitted for your approval, from Joe Barton's own home state of Texas: How Texas lost the World's Largest Super Collider .
You may weep freely, now.

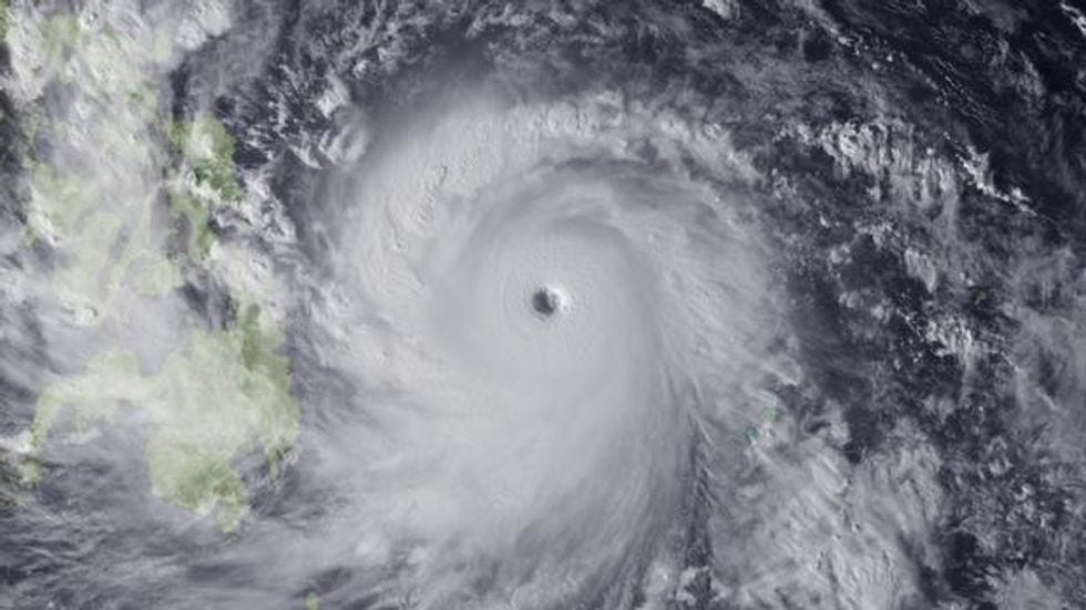
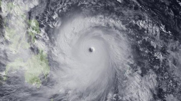
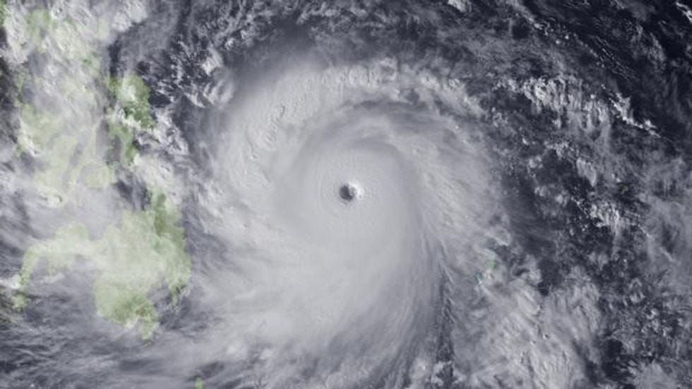
In other Disaster news, right at this moment the Philippines are being devastated by what may be the strongest storm in recorded history: Super Typhoon Haiyan. This monster has a cloud deck extending 1,150 miles, tropical force winds extending 149 miles from the center, sustained winds of 183 mph and remotely measured wind gusts of an apocalyptic 235 mph right at the eyewall. That's topping the Category 5 scale. We've lost contact with the center of the strike zone, but damage is expected to be total, with a commensurate loss of life. Courtesy commenter snowpointsecret (who's our storm correspondent now) is a video from the Philippines of Haiyan's landfall. Mentioning the phrase "Global Warming" now would be wrong, and just upset some people, so forget we said anything.

NASA's Aqua atmospheric satellite is tracking and providing critical remote sensing data on Super Typhoon Haiyan. Important, because there's big gaps in the meteorological data buoy network in this part of the world and no Hurricane Hunter aircraft.Thanks, NASA!

Astronomers using the amazing Atacama Large Millimeter/submillimeter Array (ALMA) radiotelescopes in northern Chile have imaged the coldest known object in the universe -- the spooky Boomerang Nebula. Add your own joke about an ex here.
In warmer news, Sunspot AR1890 has released two awesome flares on November 6th and 8th and is now turned towards the Earth. NOAA's Space Weather Prediction Center says we'll all be OK, so now's the time to kick back with a beverage and watch Alex Jones freak.

Astronomers using Maui's Pan-STARRS 1 telescope and the Hubble Space Telescope have found a "Bizarre Asteroid with six tails". How many tails does one need?

Calming fears among the skywatching community, NASA says that Christmas Comet ISON hasn't broken up and may still be the brilliant Comet of the Century. Hurrah!

Today in "Stunts only a country with a Manned Space Program can do," the Russians have lifted the 2013 Sochi Olympic torch into space. Uh, guys: Newt Gingrich is still keen on traveling into space. Take him next time, please? No, don't bring him back...What? Awshit. WE still got to the Moon first. Nyeah.

IBM has unveiled a prototype of a new brain-inspired computer powered by what it calls "electronic blood". Excellent. Computers powered by human blood are messy and difficult to work with. Take it from me.

Uh...whoops. Cliff Frohlich , Senior Research Scientist at U of T's Institute for Geophysics has conducted a study linking numerous small earthquakes in Texas to subsurface Carbon Dioxide injection (a process used to enhance production of oil wells). But fracking for natural gas in the Marcellus shale is perfectly safe. Ignore those cracks in the Washington Monument.
Fans of Crunchy Bugs will be heartened by chef Elie Daviron's new Insect Tapas menu It's an experiment, so you'll have to rush over to Paris's Montmartre district and find a tiny bar called The Naked Lunch (not that Naked Lunch !).

Scientists in China have found a 165 million year old fossil of copulating insects. Hey, we all have to go sometime, why not like this?

This Global Warming thing might not be bad after all. Jonathan Bloch, a paleontologist at the Florida Museum of Natural History says that if our average climate warms up to that of the Paleocene-Eocene epoch, snakes the size of a school bus may appear! Awesome! Wait, what?

How old is that Octopus? We can now tell exactly how old by the beak. It's actually important and will be a useful for managing threatened populations of octopus worldwide. (And to imagine that we thought it was tattooed on the back of their neck.)

Katharine Harmon Courage, author of our second favorite blog The Octopus Chronicles , has just published a book! Octopus!: The Most Mysterious Creature in the Sea is a collection of the most incredible octopus tales, collected from her intensive nine-month world tour. I've ordered one already, of course, even though she neglected to interview me.
And now we come to the best part of the Blog: the Cephalopod of the Day!
Well, the ayahuasca is beginning to wear off now, so I'm going to go pass out for a day. Cheers all!



Lies from the pit of Hell will do that to you.
Joe Barton&#039;s wife: &quot;Honey, wait &#039;till you hear how much I <i>saved</i> at Neiman-Marcus today!&quot;